W dniu 9 maja 2023 r. planowane jest wprowadzenie tymczasowej organizacji ruchu w związku z I etapem remontu łącznic Drogowej Trasy Średnicowej z ul. Bytomską.
Zostały wyznaczone objazdy
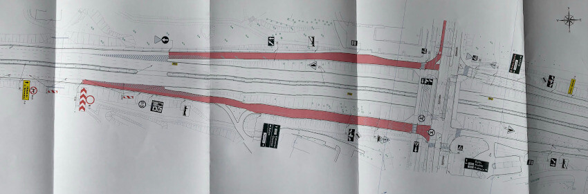
W pierwszym etapie planowane jest wyłączenie z ruchu łącznicy wjazdowej na ul. Bytomską z DTŚ (od strony Gliwic/Rudy Śląskiej) oraz łącznicy zjazdowej z ul. Bytomskiej na DTŚ w kierunku Gliwic/Rudy Śląskiej. Podczas prowadzenia prac zostaną wyznaczone trasy objazdowe. Objazd do ul. Bytomskiej dla pojazdów poruszających się DTŚ w kierunku Katowic oraz dla pojazdów poruszających się ul. Bytomską w kierunku Gliwic zostanie wyznaczony przy wykorzystaniu węzła DTŚ z ul. Żołnierską.
Czas trwania prac, zgodnie z informacjami uzyskanymi od Wykonawcy, przewidywany jest na około 3 tygodnie.

